早上醒来中盛投资,不少小伙伴都习惯顺手抓起桌上的杯子,咕咚咕咚喝几口水。
可你有没有想过,就在你大口喝水的时候,一堆“蚊子卵”可能已经下了肚!所以,隔夜水最好不要喝!!!
最近,一女子早上起床后端起隔夜水正准备喝时,发现一串白色物体在水里飘来飘去,“估计是虫卵,太恐怖了”

对此,网友表示:





遇见这样状况的网友,还不在少数


“秋蚊子,猛如虎”,随着气温适度回落,蚊子迎来了最适宜的繁殖环境。
专家解释,秋季气温在20℃-30℃之间,正好是蚊子最活跃的温度区间。
相比夏季三四十度的高温,现在的气候条件让蚊子活动更加频繁。
更关键的是,秋季是蚊子为越冬做准备的最后时机。雌蚊会像“赶进度的牛马”一样疯狂吸血,将血液中的营养转化为脂肪,储存在体内,为冬眠储备足够的“口粮”。
这种生物本能驱使着它们在“时日无多”的情况下加大叮咬频率,使得秋季的蚊子比夏季更加“凶悍”。
什么是“摇蚊”?中盛投资
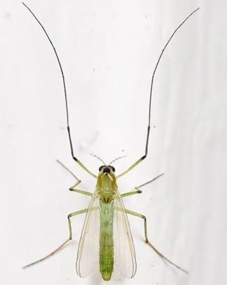
摇蚊是一类十分常见、耐受性极强的水生昆虫,在各类水体中均有广泛分布。
虽然也叫蚊,但摇蚊和我们平常说的普通蚊子属于不同生物类别。它的口器不像蚊子那么发达,不吸血,但会下点“料”。

虽说会被摇蚊“下料”,但也别太过担心,只要家里摇蚊数量不多,被“下料”的几率就很小。
其次,即便误喝了带有虫卵的水,也并不会对人体造成伤害。
不过,虽然不吸血,但摇蚊却会在你头顶不停盘旋。摇蚊成虫有集体团舞的习性,也叫“婚飞”,而且它们对二氧化碳、热和汗水十分敏感,能在一定距离内感知到恒温哺乳动物的存在,具有追踪这些动物的本能。
所以当你运动行走时,它们就会在你身边或头顶上空,成团飞舞,开“相亲大会”。

更不可忽视的是,摇蚊的繁殖能力极强,不论河湖还是家中的花瓶、鱼缸,只要有点儿水就行。隔夜的水杯,正是因此被它加了“料”。
摇蚊卵刚产出时,会被一层灰色胶质卵鞘包裹,卵鞘充分吸水后,变成有黏性的透明“果冻”。
一团“果冻”里,常包裹着几百枚摇蚊卵。摇蚊宝宝孵化出来,第一餐就吃“果冻”。

与吸血的蚊子如何区别?
01
体色
一般吸血蚊虫是褐色或者黑白相间的,而摇蚊色彩多有绿色、黄褐色、黑色等。
02
口器 中盛投资
摇蚊口器退化,无上颚,不吸血,只能摄取植物汁液;吸血蚊都有个针状的“大长嘴”,专门吸血用。

03
翅膀
吸血蚊停落时两翅重叠挡住腹部;摇蚊停落时两翅分开平铺在背面,两翅不重叠。
04
腿
摇蚊停落时前足通常抬起摇晃,这也是摇蚊名字的由来;而吸血蚊虫在停落时前足并不会抬起,可通过前足是否抬起区分摇蚊和蚊子。
05
趋光性
摇蚊具趋光性,夜晚会绕着灯光飞,而吸血蚊对普通灯光是负趋光性的,就是对光线避而不及,这也是关灯之后蚊子才来骚扰我们的缘故,因此看到被灯光吸引的蚊子一般都是摇蚊。

对人类有什么危害?
如何预防家中进入摇蚊?
摇蚊并非医学害虫,但数量多了也会对人造成骚扰,引发恐惧和不适,而死去的大量摇蚊尸体干碎后,还可能被吸入人体造成过敏反应。
值得庆幸的是,摇蚊的寿命只有1~2周,高峰期维持时间较短,也就是1~2个月左右,过了高峰期,摇蚊自然就没有了,因此不必太恐慌。
那该如何防治摇蚊呢?专家强调,只有温度降到20℃以下,蚊子的活跃度才会明显下降。在此之前,灭蚊工作一刻也不能松懈。
清除积水是最有效的防蚊措施,包括清倒瓶瓶罐罐、花盆底下的积水,给不能倒掉的积水容器加盖,室内水生植物每3-5天换水一次。

还可以通过以下措施进行预防:
01
环境治理
• 清理住宅周边积水、疏通沟渠,从源头减少幼虫孳生。
• 社区水体可引入食蚊鱼(如孔雀鱼),通过生态链控制摇蚊数量。
02
物理阻隔
• 安装纱窗、门帘,阻断成虫进入室内。
• 傍晚关闭非必要光源,或使用暖光、黄光灯具(摇蚊对蓝光、白光更敏感)。
03
个人防护
• 外出时穿浅色长袖衣物(深色易招虫),佩戴口罩、墨镜,避免蚊虫入眼、入口。
• 若遇大规模摇蚊群,可快速通过或暂时避让,减少停留时间。

如果大量摇蚊进入家中,建议购置电击式灭蚊灯进行杀灭,也可以使用市售的杀虫气雾罐进行喷杀,同时做好摇蚊尸体的清理。
编辑:Selex
图文来源:佛山日报、新闻坊中盛投资
名鼎配资提示:文章来自网络,不代表本站观点。